![]() |
![]() |
![]() |
![]() |
| Deed Book 202, 329 8-21-1934 Beach Lot Liversedge to Dale
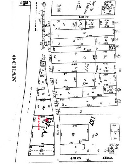
Mrs Agnes Nelson Liversedge for $1.00, conveyed to Ellie M Dale (her cousin) a Beach Lot with house called The Acorn, W= Simpson (later by Barksdale and Tschopik) E= Liversedge, N= Front St. The residence at 118 was listed with a market value of $18,500 today the other former Liversedge property a similar cottage is worth $650,000. |
| Above is what is left of the Acorn after Camille. Deed Book 202, 329 8-21-1934 Beach Lot Liversedge to Dale Mrs Agnes Nelson Liversedge for $1.00, conveyed to Ellie M Dale (her cousin) a Beach Lot with house called The Acorn, W= Simpson (later by Barksdale and Tschopik) E= Liversedge, N= Front St. |
| Below the house on the right is the Liversedge family home, this is where Martha Ford Priddy great niece of Agnes Liversege grew up, this is also the home that housed the secretary (desk) that once belonged to Jefferson Davis that was given to Capt. John Nelson in payment for moving his household to his last home "Beaulieu" after the war. This Liversedge has to date stood through Camille and Katrina plus all the lesser storms between the two. |
| The Acorn's Disappearance |
| map from Dan Ellis |
![]() |